مدیریت تلفیقی آفات و بیماریهای گردو؛ رویکردی پایدار برای افزایش بهرهوری و سلامت باغها

گردو با نام علمی Juglans regia میوه درختی و یکی از درختان مهم اقتصادی است از میوه های آجیلی مغزدار از خانواده Juglandaceae میباشد. این درختان پهنبرگ در نقاط مختلفی از نیمکره شمالی، از مرکز و شرق اروپا تا ایران و دامنههای هیمالیا و همچنین در چین و ژاپن رشد میکنند. بسیاری از محققان ایران را منشاء گردو میدانند و به همین دلیل آن را گردوی ایرانی می نامند. این درخت در ایران به خوبی رشد میکند و بهترین بازدهی را در دامنههای البرز و زاگرس دارد. عوامل تنشزای فیزیکی و شیمیایی مانند خشکی و افزایش دما باعث کاهش مقاومت درختان به آفات و بیماریها میشوند. بهویژه، کرم خراط به دلیل این تنشها خسارات بالایی به گردوها وارد کرده است.
پیشنهاد مطالعه بیشتر: کرم خراط
وضعیت گردو در دنیا و ایران
بر اساس آمار F.A.O، سطح زیرکشت گردو در جهان ۸۰۰۰۰۰ هکتار است. در ایران، سطح زیرکشت این درختان در سال ۹۲ به ۱۴۱۷۹۱ هکتار، شامل ۳۲۰۳۱ هکتار نهال و ۱۰۹۷۶۰ هکتار بارور، گزارش شده است.
اهداف مبارزه با آفات گردو
در مناطق آلوده، نکات زیر برای مدیریت آفات قابل اجراست: ۱. جلوگیری از گسترش آفت به مناطق غیرآلوده. ۲. کاهش خسارات آفت بر درختان گردو و میزبانهای همجوار. ۳. حفظ درختان گردو از خشکیدگی. در اتباط با آفات این محصول، بخصوص خسارات کرم خراط در کشورهای اروپایی مانند ایتالیا و اسپانیا به ویژه بر درختان گردو، فندق و زیتون تحقیقات زیادی مورد بررسی قرار گرفته است.
پیشنهاد مطالعه بیشتر: خرید فرمون کرم خراط
آفات مهم درختان گردو چیست؟
1 – کرم خراط، پروانه فری یا پروانه پلنگی Zeuzera pyrina

مرفولوژی کرم خراط:
حشره کامل با بالهای به رنگ سفید که روی آن لکه های تیره رنگ قابل مشاهده هستند. حشرات ماده با شاخکهای نخی شکل از جنس نر قابل متمایز هستند.
میزبان ها و نحوه ی خسارت و زیست شناسی :
این آفت که میزبانهای زیادی از جمله گردو، سیب، گلابی، زیتون، فندق، گیلاس، به، نارون، بیدمشک و برخی درختان جنگلی دارد، از طریق لاروهای چوبخوار خود در تنه و شاخههای درختان دالانهایی ایجاد و باعث ضعف شدید آنها میشود. خسارت اولیه در برگها و شاخههای نازک شروع می شود و به تدریج به شاخههای بزرگ و تنه گسترش مییابد. این آفت در مناطقی مانند استان تهران روی سیب و گلابی، در اصفهان روی به و گردو، و در استانهای مرکزی، خراسان، سمنان و یزد بر روی گردو خسارت شدید ایجاد کرده و در برخی باغها تا ۱۰۰ درصد آسیب رسانده است.آفت پس از تضعیف درختان، سایر آفات چوبخوار و بیماریهای ثانویه را نیز جذب میکند. دوره خروج حشرات بالغ از اواسط اردیبهشت تا اواخر شهریور است و دوره زندگی آن یک تا دو سال طول میکشد.
پیشنهاد مطالعه بیشتر: تاثیر اندازه و رنگ تله های فرمونی بر شکار کرم خراط
شیوه های مختلف کنترل آفت بصورت پیشگیری و مبارزه :
- تنظیم آبیاری : درخت گردو بسیار به کمآبی حساس است، بنابراین آبیاری کافی و منظم اولین گام برای پیشگیری و کنترل این آفت است.
- تقویت خاک : درختانی که در خاکهای سبک و فقیر یا با PH قلیایی بالا رشد کردهاند، بیشتر در معرض حمله آفت قرار میگیرند. تقویت خاک با کودهای آلی و شیمیایی ضروری است.
- هرس شاخه هایی با آلودگی بسیار بالا : شاخههای آلوده باید با دقت هرس شوند تا از رشد شاخههای جوان و حساس برای تخمگذاری آفت جلوگیری شود. شاخههای هرس شده باید خارج از باغ سوزانده شوند.
- پوشاندن دالانهای لاروی : با استفاده از مخلوط حشرهکش دورسبان و پودر تالک، مدخل دالانهای لاروی پوشانده شود. این کار باید قبل از خروج حشرات کامل و ماهی یکبار تا اواخر شهریور تکرار شود.
- استفاده از تله های فرمونی : با استفاده از تله های فرمونی جهت نظارت و ردیابی آفت میتوان به دو طریق اخلال در جفت گیری “Mating disruption” با اشباع محیط از فرمونهای جنسی ماده و یا به طریق شکار انبوه جنس نر. ” Trapping Mass ” در تله های فرمونی که در نهایت باعث کاهش تعداد جنس نر نسبت به ماده های آماده جفت گیری میشود تراکم و خسارت آفت را به اندازه قابل توجهی کاهش داد. نتایج حاصل از طرحهای تحقیقاتی نشان داده، اگر چه تله های سطلی نسبت به سایر تله ها کارایی مطلوب تری در شکار پروانه های نر این آفت دارد اما با توجه به تهیه آسانتر و قیمت پایین تر تله های دلتا، از این نوع تله ها نیز میتوان استفاده نمود. در ضمن بهترین مکان نصب تله در ناحیه تاج درخت بوده و در درختان گردوی چندین ساله با ارتفاع بالا نصب این تله های فرمونی در ارتفاع حداقل شش متر در زیر محدوده کانوپی درخت حداکثر شکار را خواهیم داشت.
- تله های نوری: تله نوری حشرات با لامپ جیوه ای دوره خروج متراکم پروانه ها را با دقت کافی تعیین مینماید.
- سمپاشی : بدلیل طولانی بودن دوره ی خروج ، تخمریزی و نفوذ لاروها و همچنین فعالیت لاروها در بخش داخلی تنه سمپاشی تاثیر چندانی در کنترل آفت نخواهد داشت.
جدول زمانبندی انجام مبارزه
- فصل بهار(اردیبهشت ماه و خردادماه): نصب تله های فرمونی جهت پیش آگاهی زمان ظهور آفت، نصب تله های فرمونی در حاشیه مناطق غیر آلوده جهت ردیابی و نظارت بر شروع احتمالی آلودگی و انجام عملیات بموقع کنترلی، نصب تله های فرمونی به محض مشاهده اولین پروانه نر در تله، پوشاندن دالانهای فعال لاروی بر روی تنه و یا شاخه های اصلی، هرس شاخه های خشک و آلوده و سپس سوزاندن آنها، تعویض فرمونها.
- فصل تابستان(تیرماه و مرداد ماه): پوشاندن دالانهای فعال لاروی بر روی تنه و یا شاخه های اصلی، عملیات هرس شاخه های خشک و یا با درصد آلودگی بالا، تعویض فرمونها.
2 – شته خالدار گردو Callaphis juglandis
مرفولوژی شته خالدار:
این آفت در ایران که به نام شته بزرگ گردو نیز شناخته میشود. این شته منحصرا روی درختان گردو مشاهده میشود. شته گردو عسلک بسیار فراوانی ترشح و دارای شته های بالدار بوده، ماده های بکرزای بالدار به رنگ سبز مایل به زرد روشن بوده و قفس سینه نیز قهوه ای روشن مایل به سبز میباشد.
نحوه ی خسارت و زیست شناسی :
خسارت در ایران این شته منحصراً به درختان گردو حمله کرده و با استقرار در حاشیه رگبرگهای اصلی، علاوه بر تغذیه از شیره گیاهی در اثر ترشح عسلک به فوماژین آلوده شده و برگهای درختان آلوده می ریزند. زمستانگذرانی این شته روی شاخه ها صورت گرفته و شته ها از اواسط فروردین روی میزبان ظاهر شده و کلنی های آن بسته به مناطق مختلف در ماههای اردیبهشت تا تیر ماه مشاهده میشود.

شیوه های مختلف کنترل آفت بصورت پیشگیری و مبارزه :
- دشمنان طبیعی: برخی از کفشدوزک ها از دشمنان طبیعی شته خالدار گزارش شده است. Coccinella septempunctata, Oenopia conglobata, Adalia bipunctata
- شیمیایی : به دلیل مرتفع بودن درختان گردو کار سمپاشی تا حدودی مشکل است و بایستی اینکار توسط سمپاشهای موتوری انجام گیرد که در این صورت استفاده از شته کشهای فسفره توصیه می شود.
- شته کوچک گردو Chromaphis juglandicola
- مرفولوژی شته کوچک گردو: این حشره در ایران از کرج گزارش شده است و احتمالاً در تمام مناطق ایران وجود دارد. این حشره به ویژه در روی درختان گردو بسر برده و کلنی های آن در سطح زیرین برگ و در امتداد رگبرگها مشاهده میشوند. ماده های بکرزا بالدار به رنگ سبز مایل به زرد روشن و چشمهای مرکب متمایل به قرمز است. شاخکها تقریباً تا نصف طول بدن و سطح بدن پوشیده از مو بوده است.
- شیوه های مختلف کنترل آفت بصورت پیشگیری و مبارزه :
- دشمنان طبیعی: زنبور Trioxys pallidus پارازیتویید اختصاصی این شته می باشد. همچنین زنبور پارازیتویید Aphelinus asychis و زنبورهای هیپرپارازیتویید را از روی این آفت گزارش شده است.
- شیمیایی: برای کنترل شته های گردو میتوان از مالاتیون یا سموم فسفره دیگر استفاده نمود ولی حتی المقدور باید از کاربرد سموم شیمیایی خودداری نمود.

- کنه گال زگیلی برگ گردو Eriophyes tristriatus
- میزبان ها و نحوه ی خسارت و زیست شناسی :گالهای این کنه ابتدا در کنار رگبرگ اصلی و سپس رگبرگهای فرعی تشکیل شده رنگ آنها در اوایل تشکیل زرد و به تدریج تیره شده و در اواخر فصل به رنگ قرمز قهوه ای در می آیند کنه های ماده بزرگتر از کنه های نر می باشند. این گونه از روی گردو جمع آوری و آن را کنه گال زگیلی برگ گردو نامگذاری شده است. این کنه در تمام مناطق غربی ایران انتشار دارد، فعالیت تغذیه آفت سبب تغییر شکل برگ شده، همچنین شدت آلودگی در درختان جوان بیشتر است.مراحل زیستی این کنه شامل: مرحله تخم، لارو، نمف و بالغ میباشد. زمستانگذرانی به صورت افراد ماده نمف (دئوتروژین )در لابلای فلسهای جوانه های برگی شاتونهای نر و شکافهای ریز موجود در شاخه ها و تنه بوده و تعدادی نیز به همراه برگها به زمین ریخته و از بین میرود در بهار و پس از ظهور برگهای تازه کنه های زمستانگذران در روی آنها مستقر شده و شروع به تغذیه و تخم ریزی میکنند. تغذیه کنه توأم با تغییر شکل برگ است که علائم آلودگی به صورت لکه های تاولی زرد رنگ مشاهده میشوند.

- شیوه های مختلف کنترل آفت بصورت پیشگیری و مبارزه : این کنه در مناطقی که مانند حاشیه رودخانه ها و مناطق کوهستانی که هوا نسبتاً خنک و درصد رطوبت هوا نیز تا حدودی بالا است خسارت میزند شدت آلودگی در درختان جوان بالا می باشد. شدت آلودگی در قسمتهای مختلف تاج درخت نیز یکسان نیست.جمعیت موجود در داخل گالها معمولاً تا قبل از شروع خزان برگها، گالها را ترک کرده و به محلهای زمستانگذران که لابلای فلسهای جوانه های برگی و شاتونهای نر میباشد انتقال می یابد به همین دلیل جمع آوری و سوزاندن برگهای گال دار خزان نموده در پای درخت در کنترل این آفت چندان مؤثر نیست.
- سم پاشی: با کنه کشهای بادوام مانند بنزوکسی میت همزمان با تغییر رنگ گالها به رنگ قهوه ای که مصادف با تقریباً اوایل تا اواسط آبان ماه است.
- کنترل جمعیت آغازگر: در ابتدای سال نقش مهمی در تداوم و شدت آلودگیهای جدید داشته و باید با استفاده از ترکیبات مناسب کنترل شود.
- هرس برگ های آلوده:حذف و هرس برگها و شاخه های آلوده و سپس نابودی آنها از افزایش و یا پراکنش آفت به دیگر شاخه ها جلوگیری شود.
- میزبان ها و نحوه ی خسارت و زیست شناسی :گالهای این کنه ابتدا در کنار رگبرگ اصلی و سپس رگبرگهای فرعی تشکیل شده رنگ آنها در اوایل تشکیل زرد و به تدریج تیره شده و در اواخر فصل به رنگ قرمز قهوه ای در می آیند کنه های ماده بزرگتر از کنه های نر می باشند. این گونه از روی گردو جمع آوری و آن را کنه گال زگیلی برگ گردو نامگذاری شده است. این کنه در تمام مناطق غربی ایران انتشار دارد، فعالیت تغذیه آفت سبب تغییر شکل برگ شده، همچنین شدت آلودگی در درختان جوان بیشتر است.مراحل زیستی این کنه شامل: مرحله تخم، لارو، نمف و بالغ میباشد. زمستانگذرانی به صورت افراد ماده نمف (دئوتروژین )در لابلای فلسهای جوانه های برگی شاتونهای نر و شکافهای ریز موجود در شاخه ها و تنه بوده و تعدادی نیز به همراه برگها به زمین ریخته و از بین میرود در بهار و پس از ظهور برگهای تازه کنه های زمستانگذران در روی آنها مستقر شده و شروع به تغذیه و تخم ریزی میکنند. تغذیه کنه توأم با تغییر شکل برگ است که علائم آلودگی به صورت لکه های تاولی زرد رنگ مشاهده میشوند.
- شپشک دو کوهانه Eulecanium bituberculatum
میزبان ها و نحوه ی خسارت و زیست شناسی :شپشک دوکوهانه که در نواحی کوهستانی و سردسیری، عمدتاً روی درختان گردو دیده که خسارت اقتصادی قابلتوجهی ایجاد نمیکند. این آفت که بهنام آبله نیز شناخته و در مناطقی مانند سواحل دریای مازندران و استانهای آذربایجان، باختران، اصفهان، فارس، خراسان و چهارمحال و بختیاری مشاهده شده و احتمالاً در برخی دیگر از نواحی میوهخیز کشور نیز وجود دارد. این شپشک میزبانهایی همچون سیب، گلابی، به، آلو، زالزالک، زردآلو و گردو دارد. شپشک دوکوهانه، دو جفت برآمدگی در سطح پشتی است که یکی از جفتها بزرگتر است و نامگذاری آن به دلیل همین برآمدگیها است. رنگ آن خاکستری، زرد یا قهوهای با خطوط زرد است.خسارت این آفت همراه با ترشح عسلک فراوان میباشد آلودگی در درختان آلوده از سرشاخه شروع می شود و خیلی سریع درخت را از بین می برد. این حشره زمستان را به صورت تخم سپری و این تخمها در اوایل بهار باز شده و پوره ها در سطح تنه ،برگ شاخه و نیز میوه های کوچک پراکنده میشوند و با ساختمان خاصی که بدن آنها دارد سبک و مودار به سادگی به وسیله باد منتشر می گردند. این حشره دارای یک نسل در سال میباشد.شیوه های مختلف کنترل آفت بصورت پیشگیری و مبارزه :- دشمنان طبیعی: زنبور پارازیتوئید Coccophagus sp
- شیمیایی: شپشک دوکوهانه را میتوان به سادگی کنترل کرد. بهترین زمان برای مبارزه با این آفت در زمستان است، زیرا در این فصل بهصورت تخم بوده و سمپاشی با سموم روغنی یا فسفره روی آن، مؤثر است. بهترین زمان برای کنترل آن، زمان ظهور پورههای سن اول است و اغلب سموم باغی بر آن تأثیر دارند.
- پروانه کرم جگری Trypanus cossus: پروانه کرم جگری نیز روی درختان گردو در نواحی معتدل مرطوب ایجاد خسارت می کند. لارو پروانه جگری چوبخوار درختان میوه و بالاخص درختان جنگلی میباشد. این آفت از نظر خسارت کم و بیش مانند پروانه فری بوده و بیشتر در نواحی معتدله و سرد و مرطوب انتشار دارد. خشک شدن درخت در اثر تغذیه شدید لاروهای آفت مشاهده شده است.

بیماری های مهم درختان گردو چیست؟
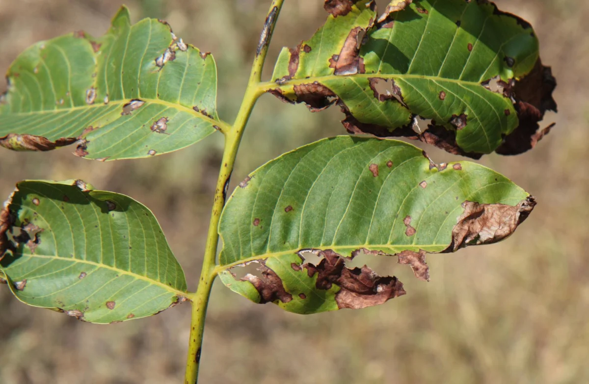
- آنتراکنوز گردو: آنتراکنوز، یکی از مهمترین بیماریهای برگی گردو که فرم جنسی قارچ Marssonina juglandis عامل آن میباشد. در ایران نیز این بیماری از مهمترین بیماریهای برگی گردو در اکثر مناطق گردو کاری کشور میباشد. در اثر حمله این قارچ برگها و میوه گردو خسارت دیده و لکه های سیاه سوخته روی برگ و حاشیه ظاهر در اکثر موارد باعث پوک شدن میوه ریزش قبل از موعد و کاهش بازارپسندی در مواردی درخت مرده و از بین میرود در صورتی که شرایط اقلیمی برای توسعه بیماری مناسب باشد اپیدمی بیماری ظهور یافته و خسارت اقتصادی شدید خواهد شد.

- علائم بیماریقارچ عامل بیماری آنتراکنوز به تمامی قسمتهای سبز هوایی درختان حمله کرده و ایجاد خسارت میکند ولی بیشتر اندام مورد حمله، برگها بوده که در نهایت سبب نکروز و ریزش قبل از موعد آنها میشود. نخستین علائم بیماری تشکیل لکه های کوچک قرمز قهوه ای تا خاکستری مایل به قهوه ای و سوخته روی برگها بوده که به تدریج گسترش می یابد ظهور این لکه ها روی میوه ها سبب ریزش میوه های جوان و در مراحل بعدی سبب کاهش کمی و کیفی مغز میوه های گردو میشود. علامت ظهور و خسارت این قارچ روی شاخه ها ، لکه های درازتر و فرو رفته تری است در هنگام طغیان و شدت آلودگی لکه های گردو قهوه ای و سیاه رنگی فقط روی پوست سبز گردو ظاهر میشوندکه اندازه میوه راکوچک و مغز گردو را نارس نگه میدارد.
- روشهای کنترل:یکی از اهداف مهم در اغلب برنامه های اصلاحی درختان میوه ارزیابی مقاومت ،ارقام ژنوتیپ ها و یا پایه ها در برابر بیماری میباشد. علاوه بر یافتن ارقام مقاوم به این بیماری، رعایت بهداشت عمومی باغ و جمع آوری و از بین بردن برگها و میوه های آلوده روی زمین در فصل پاییز و سوزاندن آنها در خارج از باغ انجام هرس برای تهویه و جریان رطوبت و رعایت اصول فنی در مقابله با این بیماری بسیار موثر میباشد. در شرایط حاد نیز میتوان از طریق سمپاشی با قارچکشهای مسی بر این بیماری غلبه کرد سمپاشی در دو نوبت انجام میشود.
- پوسیدگی ریشه و طوقه ناشی فیتو فتورا: گونههای مختلف Phytophthora spp باعث پوسیدگی ریشه و طوقه درختان میشوند. علائم بیماری شامل کوچک و زرد شدن برگها، خزان زودهنگام، کاهش عملکرد، خشکیدگی شاخهها و در نهایت مرگ درخت است. پوسیدگی طوقه ابتدا بهصورت لکههایی دور طوقه دیده شده که سپس گسترش یافته و باعث مرگ درخت میشود. پوسیدگی ریشه نیز با آلوده شدن ریشههای بزرگ و کوچک شروع شده و به تخریب سیستم داخلی ریشه میانجامد.
روش های کنترل:ریشهکن کردن این بیماری از خاک حتی با سموم گازی نیز امکانپذیر نیست. بنابراین، اقدامات پیشگیرانه مانند زهکشی مناسب، جلوگیری از آلودگی هنگام عملیات زراعی، محافظت از محل پیوند و استفاده از پایههای مقاوم برای مقابله با پوسیدگی ریشه و طوقه ضروری است. - پوسیدگی ریشه و طوقه ناشی از قارچ آرمیلاریا: این بیماری به نامهای مانند بیماری قارچ ریشه بلوط، پوسیدگی ریشه قارچ خوراکی و قارچ عسلی شناخته میگردد عامل بیماری قارچ Armillaria mellea می باشد. علائم آن مشابه پوسیدگی ناشی از قارچ فیتوفترا است و تشخیص آن دشوار است. نشانهی مطمئن برای شناسایی این بیماری، وجود رشتههای میسلیوم قارچ است که به بند کفش شباهت دارد و رنگ قهوهای مایل به سیاه در سطح خارجی و رنگ سفید در داخل دارد و به پوست ریشه میچسبد. روشهای پیشگیری شامل استفاده از سموم گازی مانند بیسولفید کربن یا متیل بروماید در خاک، اجتناب از استفاده از خاک آلوده و استفاده از پایههای مقاوم است.

- باکتریایی بلایت سرشاخه ها و پوسیدگی مغز گردوبیماری بلایت باکتریایی و پوسیدگی مغز گردو در شرایط رطوبتی بالا از اصلیترین بیماریهای خسارتزا به درختان گردو محسوب میشوند. باکتری عامل بیماری، Xanthomonas arboricola pv. juglandis، به شکل میلهای، گرم منفی و هوازی اجباری بوده و کلنیهای زرد رنگی تولید میکند. این باکتری قادر است تمام اندامهای سبز درخت گردو را آلوده کرده و در زخمهای سرشاخهها زمستانگذرانی کند. در بهار، ترشحات حاوی باکتری از این زخمها خارج شده و به گلها و سایر بخشهای گیاه گسترش مییابند. جوانههای آلوده، شانکرها و بقایای میوهها و گلهای آلوده منابع اصلی آلودگی برای فصل بعد محسوب میشوند. رعایت تعادل در آبیاری باغات میتواند به کاهش شیوع این بیماری کمک کند.علائم بیماریعلائم بیماری ناشی از این باکتری در گردو، شامل نشانههای متعددی در برگها، دمبرگها، شاخهها، گلها و میوههاست: ابتدا لکههای کوچک آبسوخته در برگها ایجاد که به لکههای نکروزه تبدیل میگردند و با پیشرفت بیماری به هم میپیوندند. برگهای آلوده ممکن است دچار بدشکلی و لکههای کلروتیک و تاولی شوند. در نهایت، لکهها قهوهای و خشک شده و نوارهای متفاوتی در نزدیکی رگبرگها ایجاد میکنند. علائم با نقاط آبسوخته نیمهشفاف در شاخه ها شروع شده و به شانکر و زخمهای عمیق همراه با حاشیههای تاولی تبدیل میشوند که از آنها ترشحات زرد خارج میگردد. در میوه ها ابتدا لکههای سیاه در قاعده استیگما شکل گرفته و سپس به کل میوه گسترش مییابد. در موارد شدید، پوست سبز میوه سیاه شده و مغز گردو چروکیده و سیاه میشود.
روش های کنترل بیماریعمده ترین روشهای کنترل ،بیماری شامل روشهای زراعی استفاده از ارقام و ژنوتیپهای مقاوم کنترل شیمیایی و مدیریت تلفیقی است.- کنترل زراعی :مدیریت زراعی باغ و نهالستان از سالم ترین و کم هزینه ترین روشها است .
- استفاده از نهالهای سالم برای کاشت
- رعایت فاصله کاشت در نهالستانها. استفاده از ارقام دیرگل
- هرس شاخه های آلوده به منظور حذف آلودگی و نیز افزایش جریان هوا در شاخه ها
- مدیریت آبیاری، اجتناب از آبیاری بارانی و بخصوص در زمان گلدهی
- تقویت خاک
کنترل شیمیایی: کنترل شیمیایی باکتریها شامل استفاده از ترکیبات مسی است. در شرایط با ریسک بالای بیماری، توصیه میشود دو بار با سموم مسی مانند مخلوط بردو یا اکسی کلرور مس سمپاشی انجام شود.
- شانکر عمیق پوست گردو Erwinia rubrifaciens: بیماری شانکر در گردو با شکافهای طولی بزرگ روی پوست تنه و شاخهها شناخته میشود. از این شکافها، شیره گیاهی و ترشحات قهوهای رنگ باکتری خارج میشود که پس از خشک شدن، ظاهری شبیه به خونریزی دارد. این باکتری، به جز در زمستان، میتواند در طول سال به درخت گردو حمله کند. از آنجا که روشهای شیمیایی برای کنترل بیماری مؤثر نیستند، رعایت اقدامات پیشگیرانه ضروری است. همچنین، برای حفظ رشد مناسب درختان، نگهداری آنها در شرایط مطلوب زراعی لازم است؛ از جمله آبیاری دقیق با استفاده از تانسیومتر و جلوگیری از آسیب به شاخهها هنگام برداشت.
استفاده از عوامل کنترل زیستی جهت کنترل بیماری ها:
- باکتریها:
- Bacillus subtilis این باکتری از طریق تولید آنتیبیوتیکهای طبیعی و ایجاد رقابت با قارچها و باکتریهای بیماریزا، نقش موثری در کنترل بیماریهای قارچی دارد.
- Pseudomonas fluorescens این باکتری با تولید ترکیبات ضدقارچی و القای مقاومت سیستمیک در درختان، از بیماریهای خاکزاد جلوگیری میکند.
- قارچها:
- Trichoderma sppاین قارچها با تولید آنزیمهای تجزیهکننده دیواره سلولی قارچهای بیماریزا و رقابت برای منابع غذایی، بیماریهایی نظیر پوسیدگی ریشه را کاهش میدهند.
- عصارههای گیاهی: برخی عصارههای گیاهان مانند روغن درخت چای، عصاره سیر و یا عصاره نیم (Neem) میتوانند به کاهش عوامل بیماریزا کمک کنند.
- القای مقاومت سیستمیک : استفاده از عوامل زیستی نظیر Bacillus subtilis یا Pseudomonas fluorescens برای تحریک سیستم ایمنی درختان و افزایش مقاومت آنها در برابر بیماریها.
- کنترل آفات ناقل بیماریها: بسیاری از بیماریهای درختان توسط آفات ناقل گسترش مییابند. کنترل زیستی آفات ناقل با استفاده از دشمنان طبیعی و غیره به کاهش آلودگی ناشی از عوامل بیماری زا کمک میکند.
علفهای هرز باغات:
علفهای هرز غالب شامل تلخه، شیرین بیان، انواع چچم ،مرغ ،قیاق، سس تاج خروس سلمه تره، پیچک و غیره میباشند. استفاده از علفکش ها، در زمان حداکثر رشد علف هرز، زمانی که ارتفاع علفها به ۱۵ -۱۰ سانتیمتر رسیده و در بهار قبل از سبز شدن علفهای هرز توصیه شده است.
نتیجهگیری
مدیریت تلفیقی آفات گردو، راهکاری جامع و پایدار برای کنترل آفات و بیماریهای این درخت ارزشمند است. این رویکرد با تمرکز بر پیشگیری از آلودگی، استفاده از شیوههای زیستسازگار نظیر تلههای فرمونی، بهرهگیری از دشمنان طبیعی، تنظیم شرایط محیطی، و در صورت لزوم استفاده محدود از سموم شیمیایی، به کاهش خسارات و حفظ تولید محصول کمک میکند. توجه به روشهای صحیح آبیاری، تغذیه خاک، و رعایت بهداشت باغ، اساس پیشگیری از آفات و بیماریها است. در نهایت، اجرای مدیریت تلفیقی نیازمند آگاهی باغداران، پشتیبانی پژوهشگران، و ارائه خدمات مشاورهای از سوی سازمانهای مرتبط است. اتخاذ این شیوهها ضمن کاهش هزینههای تولید، به حفظ محیطزیست، افزایش بازدهی محصولات و بهبود کیفیت گردو منجر خواهد شد.



میزبان ها و نحوه ی خسارت و زیست شناسی :شپشک دوکوهانه که در نواحی کوهستانی و سردسیری، عمدتاً روی درختان گردو دیده که خسارت اقتصادی قابلتوجهی ایجاد نمیکند. این آفت که بهنام آبله نیز شناخته و در مناطقی مانند سواحل دریای مازندران و استانهای آذربایجان، باختران، اصفهان، فارس، خراسان و چهارمحال و بختیاری مشاهده شده و احتمالاً در برخی دیگر از نواحی میوهخیز کشور نیز وجود دارد. این شپشک میزبانهایی همچون سیب، گلابی، به، آلو، زالزالک، زردآلو و گردو دارد. شپشک دوکوهانه، دو جفت برآمدگی در سطح پشتی است که یکی از جفتها بزرگتر است و نامگذاری آن به دلیل همین برآمدگیها است. رنگ آن خاکستری، زرد یا قهوهای با خطوط زرد است.خسارت این آفت همراه با ترشح عسلک فراوان میباشد آلودگی در درختان آلوده از سرشاخه شروع می شود و خیلی سریع درخت را از بین می برد. این حشره زمستان را به صورت تخم سپری و این تخمها در اوایل بهار باز شده و پوره ها در سطح تنه ،برگ شاخه و نیز میوه های کوچک پراکنده میشوند و با ساختمان خاصی که بدن آنها دارد سبک و مودار به سادگی به وسیله باد منتشر می گردند. این حشره دارای یک نسل در سال میباشد.شیوه های مختلف کنترل آفت بصورت پیشگیری و مبارزه :

روش های کنترل:ریشهکن کردن این بیماری از خاک حتی با سموم گازی نیز امکانپذیر نیست. بنابراین، اقدامات پیشگیرانه مانند زهکشی مناسب، جلوگیری از آلودگی هنگام عملیات زراعی، محافظت از محل پیوند و استفاده از پایههای مقاوم برای مقابله با پوسیدگی ریشه و طوقه ضروری است.
روش های کنترل بیماریعمده ترین روشهای کنترل ،بیماری شامل روشهای زراعی استفاده از ارقام و ژنوتیپهای مقاوم کنترل شیمیایی و مدیریت تلفیقی است.